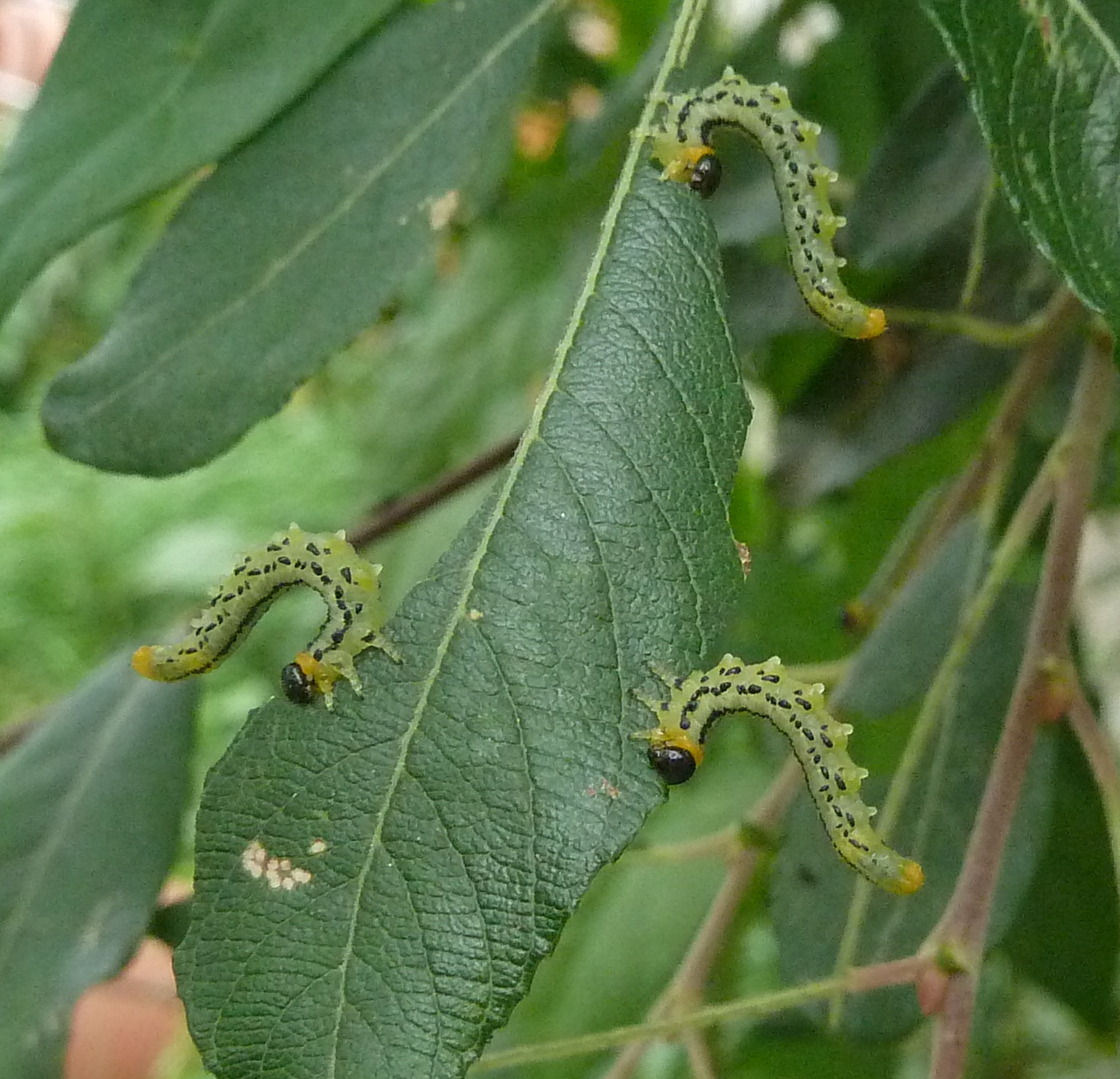
Photo prise à Pleyber Christ le 29/09/2011.
Fausses chenilles. Larves de Tenthrèdes
Une note est associée à l’image. Survolez l’image pour afficher la note.
Échelle du sujet : non renseignée
Une note est associée à l’image. Survolez l’image pour afficher la note.
Échelle du sujet : non renseignée
Photo prise à Pleyber Christ le 29/09/2011.